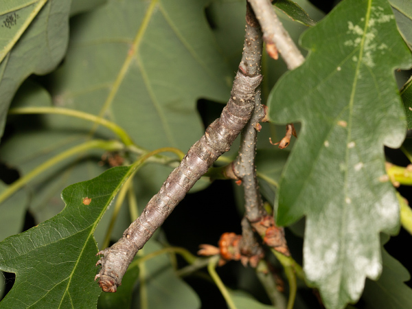
Hypomecis roboraria (Denis & Schiffermüller, 1775)

Geometridae Zobraz náhledy čelediEnnominae Zobraz náhledy podčeledi

«  »

- Hypomecis roboraria (housenka), Ostrovačice, červen 2025

BioLib |


Datum: 12.06.2025 22:09:39, Fotoaparát: Canon EOS 70D, Čas: 1/200s, Clona: f/9,
Ohnisko: 100 mm, ISO: 250, Blesk: Ano, Zobrazeno: 85x,
Soubor: 20252207193826_MG_5160.jpg


20252207193826_MG_5183.jpg 20252207193826_MG_5174.jpg 20252207193826_MG_5160.jpg 20232006194706_MG_4637.jpg 20220409123729_MG_6708.jpg 20220409123729_MG_6696.jpg 20220409123729_MG_6686.jpg 2908113901_MG_2310.jpg 2908113901_MG_2183.jpg

List of families & species
butterflies | moths | micromoths
cz ikona sk ikona en ikona de ikona

náhodný detail křídel
– Butterflies (139 species)

Hesperiinae

Essex Skipper - Thymelicus lineola Large Skipper - Ochlodes sylvanus Lulworth Skipper - Thymelicus acteon Silver-spotted Skipper - Hesperia comma Small Skipper - Thymelicus sylvestris

Heteropterinae

Chequered Skipper - Carterocephalus palaemon Large Chequered Skipper - Heteropterus morpheus

Pyrginae

Dinky Skipper - Erynnis tages Grizzled Skipper - Pyrgus malvae Mallow Skipper - Carcharodus alceae Oberthürs Grizzled Skipper - Pyrgus armoricanus Olive Skipper - Pyrgus serratulae Red Underwing Skipper - Spialia sertorius Safflower Skipper - Pyrgus carthami

Papilioninae

Old World Swallowtail - Papilio machaon Scarce Swallowtail - Iphiclides podalirius

Parnassiinae

Apollo - Parnassius apollo Clouded Apollo - Parnassius mnemosyne Southern Festoon - Zerynthia polyxena

Coliadinae

Colias palaeno Berger's Clouded Yellow - Colias alfacariensis Brimstone - Gonepteryx rhamni Clouded Yellow - Colias crocea Eastern Pale Clouded Yellow - Colias erate Pale Clouded Yellow - Colias hyale

Dismorphiinae

Réal's Wood White - Leptidea juvernica Wood White - Leptidea sinapis

Pierinae

Bath White - Pontia edusa Black-veined White - Aporia crataegi Green-veined White - Pieris napi Large White - Pieris brassicae Mountain Green-veined White - Pieris bryoniae Orange Tip - Anthocharis cardamines Small White - Pieris rapae Southern Small White - Pieris mannii

Apaturinae

Lesser Purple Emperor - Apatura ilia Purple Emperor - Apatura iris

Heliconiinae

Proclossiana eunomia Cranberry Fritillary - Boloria aquilonaris Dark Green Fritillary - Argynnis aglaja High Brown Fritillary - Argynnis adippe Lesser Marbled Fritillary - Brenthis ino Marbled Fritillary - Brenthis daphne Niobe Fritillary - Argynnis niobe Pearl-bordered Fritillary - Boloria euphrosyne Queen of Spain Fritillary - Issoria lathonia Silver-washed Fritillary - Argynnis paphia Small Pearl-bordered Fritillary - Boloria selene Twin-spot Fritillary - Brenthis hecate Weavers Fritillary - Boloria dia

Nymphalinae - Melitaeini

Melitaea britomartis False Heath Fritillary - Melitaea diamina Glanville Fritillary - Melitaea cinxia Heath Fritillary - Melitaea athalia Lesser Spotted Fritillary - Melitaea trivia Marsh Fritillary - Euphydryas aurinia Nickerl's Fritillary - Melitaea aurelia Scarce Fritillary - Euphydryas maturna Spotted Fritillary - Melitaea didyma

Nymphalinae - Nymphalini

Camberwell Beauty - Nymphalis antiopa Comma - Polygonia c-album Large Tortoiseshell - Nymphalis polychloros Map Butterfly - Araschnia levana Painted Lady - Vanessa cardui Peacock Butterfly - Inachis io Red Admiral - Vanessa atalanta Small Tortoiseshell - Aglais urticae Yellow-legged Tortoiseshell - Nymphalis xanthomelas

Limenitidinae

Limenitis populi Hungarian Glider - Neptis rivularis White Admiral - Limenitis camilla

Satyrinae

Arran Brown - Erebia ligea Chestnut Heath - Coenonympha glycerion Dryad - Minois dryas False Grayling - Arethusana arethusa Grayling - Hipparchia semele Great Banded Grayling - Brintesia circe Hermit - Chazara briseis Large Heath - Coenonympha tullia Large Ringlet - Erebia euryale Large Wall Brown - Lasiommata maera Marbled White - Melanargia galathea Meadow Brown - Maniola jurtina Pearly Heath - Coenonympha arcania Ringlet - Aphantopus hyperantus Rock Grayling - Hipparchia alcyone Scotch Argus - Erebia aethiops Small Heath - Coenonympha pamphilus Small Mountain Ringlet - Erebia epiphron Speckled Wood - Pararge aegeria Sudeten Ringlet - Erebia sudetica Tree Grayling - Hipparchia statilinus Wall Brown - Lasiommata megera Woodland Brown - Lopinga achine Woodland Grayling - Hipparchia fagi Woodland Ringlet - Erebia medusa

Libytheinae

European Beak - Libythea celtis

Lycaeninae - Lycaenini

Large Copper - Lycaena dispar Purple-edged Copper - Lycaena hippothoe Purple-shot Copper - Lycaena alciphron Scarce Copper - Lycaena virgaureae Small Copper - Lycaena phlaeas Sooty Copper - Lycaena tityrus

Lycaeninae - Polyommatini

Vacciniina optilete Adonis Blue - Polyommatus bellargus Amandas Blue - Polyommatus amandus Brown Argus - Aricia agestis Chalk Hill Blue - Polyommatus coridon Chapman's Blue - Polyommatus thersites Chequered Blue - Scolitantides orion Common Blue - Polyommatus icarus Damon Blue - Polyommatus damon Dusky Large Blue - Phengaris nausithous Eastern Baton Blue - Pseudophilotes vicrama Eastern Short-tailed Blue - Cupido decoloratus Geranium Argus - Aricia eumedon Green-underside Blue - Glaucopsyche alexis Idas Blue - Plebejus idas Large Blue - Phengaris arion Little Blue - Cupido minimus Lorquins Blue - Celastrina argiolus Mazarine Blue - Cyaniris semiargus Meleager's Blue - Polyommatus daphnis Mountain Alcon Blue - Phengaris alcon rebeli Provencal Short-tailed Blue - Cupido alcetas Reverdin's Blue - Plebejus argyrognomon Scarce Large Blue - Phengaris teleius Short-tailed Blue - Cupido argiades Silver-studded Blue - Plebejus argus Turquoise Blue - Polyommatus dorylas

Lycaeninae - Eumaeini

Black Hairstreak - Satyrium pruni Blue-spot Hairstreak - Satyrium spini Green Hairstreak - Callophrys rubi Ilex Hairstreak - Satyrium ilicis Purple Hairstreak - Neozephyrus quercus Sloe Hairstreak - Satyrium acaciae White-letter Hairstreak - Satyrium w-album

Lycaeninae - Theclini

Brown Hairstreak - Thecla betulae

 

Duke of Burgundy - Hamearis lucina


– Moths (738 species)

 

Colocasia coryli Pine Arches Moth - Panthea coenobita

 

Endromis versicolora

Zeuzerinae

Zeuzera pyrina Phragmataecia castaneae

Cossinae

Cossus cossus Parahypopta caestrum Garlic borer - Dyspessa ulula

Limacodinae

Apoda limacodes

Hypeninae

Hypena proboscidalis Hypena rostralis Beautiful Snout - Hypena crassalis

Boletobiinae

Laspeyria flexula Eublemma purpurina Olive Crescent - Trisateles emortualis Small Purple-barred - Phytometra viridaria Waved Black - Parascotia fuliginaria

Lymantriinae

Euproctis similis Arctornis l-nigrum Lymantria dispar Euproctis chrysorrhoea Orgyia antiqua Leucoma salicis Calliteara abietis Dark Tussock - Dicallomera fascelina

Toxocampinae

Lygephila craccae Blackneck - Lygephila pastinum

Erebinae

Dysgonia algira Minucia lunaris Catephia alchymista Sorcerer - Aedia leucomelas

Scolecocampinae

Lesser Belle - Colobochyla salicalis

Hypenodinae

Marsh Oblique-barred - Hypenodes humidalis Pinion-streaked Snout - Schrankia costaestrigalis

Chloephorinae

Pseudoips prasinana Nycteola revayana Bena bicolorana Eastern Nycteoline - Nycteola asiatica

Eariadinae

Earias clorana Earias vernana

Nolinae

Meganola albula Meganola strigula Nola confusalis Nola cicatricalis Scarce Black Arches - Nola aerugula Short-cloaked Moth - Nola cucullatella

Thyatirinae

Polyploca ridens Tethea or Thyatira batis Habrosyne pyritoides Achlya flavicornis Tethea ocularis Common Lutestring - Ochropacha duplaris Lesser Lutestring - Cymatophorina diluta Satin Lutestring - Tetheella fluctuosa

Drepaninae

Watsonalla binaria Drepana falcataria Drepana curvatula Sabra harpagula Watsonalla cultraria Cilix glaucata Scalloped Hook-tip - Falcaria lacertinaria

Notodontinae

Drymonia ruficornis Pheosia gnoma Ptilodon cucullina Pheosia tremula Pterostoma palpinum Drymonia dodonaea Notodonta tritophus Drymonia obliterata Drymonia querna Dicranura ulmi Furcula bifida Cerura erminea Drymonia velitaris Alder Kitten - Furcula bicuspis Coxcomb Prominent - Ptilodon capucina Dusky Marbled Brown - Gluphisia crenata Iron Prominent - Notodonta dromedarius Pebble Prominent - Notodonta ziczac Plumed Prominent - Ptilophora plumigera Puss Moth - Cerura vinula Sallow Kitten - Furcula furcula White Prominent - Leucodonta bicoloria

Heterocampinae

Spatalia argentina Harpyia milhauseri

Stauropinae

Stauropus fagi

Phalerinae

Peridea anceps Buff-tip - Phalera bucephala

Pygaerinae

Clostera anastomosis Clostera curtula Scarce Chocolate-tip - Clostera anachoreta Small Chocolate-tip - Clostera pigra

Thaumetopoeinae

Oak Processionary - Thaumetopoea processionea

Saturniinae

Saturnia pyri Saturnia pavoniella

Agliinae

Aglia tau

 

Penthophera morio Lymantria monacha Calliteara pudibunda

Lasiocampinae

Lasiocampa trifolii Macrothylacia rubi Dendrolimus pini Euthrix potatoria Eriogaster catax Cosmotriche lobulina Lackey - Malacosoma neustria

Poecilocampinae

Trichiura crataegi December Moth - Poecilocampa populi

Gastropachinae

Phyllodesma tremulifolia Lappet - Gastropacha quercifolia Plum Lappet - Odonestis pruni Poplar lappet - Gastropacha populifolia

Oiketicinae

Megalophanes viciella Canephora hirsuta Ptilocephala muscella

Epichnopteryginae

Acentra subvestalis

 

Triodia sylvina Common Swift - Korscheltellus lupulinus Gold Swift - Phymatopus hecta

Catocalinae

Euclidia glyphica Grammodes stolida Callistege mi Catocala fulminea Catocala nupta Catocala electa Catocala puerpera Clifden Nonpareil - Catocala fraxini Dark Crimson Underwing - Catocala sponsa Druid - Aedia funesta French Red Underwing - Catocala elocata Light Crimson Underwing - Catocala promissa Oak Yellow Underwing - Catocala nymphagoga

Xyleninae

Xylena solidaginis Ammoconia caecimacula Cosmia diffinis Cosmia trapezina Cosmia affinis Amphipoea fucosa Agrochola laevis Agrochola macilenta Agrochola litura Phlogophora meticulosa Agrochola lychnidis Agrochola lota Mormo maura Agrochola helvola Caradrina morpheus Agrochola nitida Hoplodrina respersa Apamea syriaca Staurophora celsia Atethmia ambusta Apamea platinea Polymixis polymita Beautiful Arches - Blepharita satura Black-banded - Polymixis xanthomista Brick - Agrochola circellaris Brown-veined Wainscot - Archanara dissoluta Cameo - Crypsedra gemmea Clancy's Rustic - Caradrina kadenii Cloaked Minor - Mesoligia furuncula Clouded Brindle - Apamea epomidion Clouded-bordered Brindle - Apamea crenata Common Rustic - Mesapamea secalis Concolorous - Photedes extrema Crescent - Helotropha leucostigma Deep-brown Dart - Aporophyla lutulenta Dingy Shears - Apterogenum ypsillon Dusky Brocade - Apamea remissa Dusky Sallow - Eremobia ochroleuca Dusky-lemon Sallow - Xanthia gilvago Ear Moth - Amphipoea oculea Flounced Rustic - Luperina testacea Large Ear - Amphipoea lucens Lesser Common Rustic - Mesapamea secalella Light Arches - Apamea lithoxylea Lunar-spotted Pinion - Cosmia pyralina Marbled Minor - Oligia strigilis Mere Wainscot - Photedes fluxa Pale Mottled Willow - Caradrina clavipalpis Pale-lemon Sallow - Cirrhia ocellaris Powdered Rustic - Hoplodrina superstes Reddish Light Arches - Apamea sublustris Rosy Minor - Mesoligia literosa Rufous Minor - Oligia versicolor Rustic - Hoplodrina blanda Rustic Shoulder-knot - Apamea sordens Scarce Brindle - Apamea lateritia Shining Marbled - Pseudeustrotia candidula Slender Brindle - Apamea scolopacina Small Angle Shades - Euplexia lucipara Small Clouded Brindle - Apamea unanimis Small Dotted Buff - Photedes minima Small Wainscot - Denticucullus pygmina Sword-grass - Xylena exsoleta The Confused - Apamea furva Twin-spotted Wainscot - Archanara geminipuncta Union Rustic - Pabulatrix pabulatricula Webb's Wainscot - Globia sparganii

Dilobinae

Diloba caeruleocephala

Psaphidinae

Brachionycha nubeculosa Sprawler - Asteroscopus sphinx

Cuculliinae

Cucullia absinthii Omphalophana antirrhinii Cucullia tanaceti Cucullia xeranthemi False Water Betony - Shargacucullia prenanthis Lettuce Shark - Cucullia lactucae Shark - Cucullia umbratica Star-wort - Cucullia asteris Striped Lychnis - Shargacucullia lychnitis Toadflax Brocade - Calophasia lunula Water Betony - Shargacucullia scrophulariae

Bryophilinae

Bryophila raptricula Cryphia fraudatricula Bryophila felina Marbled Beauty - Bryophila domestica Tree-lichen Beauty - Cryphia algae

Heliothinae

Heliothis viriplaca Pyrrhia umbra Helicoverpa armigera Heliothis adaucta Pyrrhia purpura

Condicinae

Silvery Gem - Eucarta virgo

Eriopinae

Latin - Callopistria juventina

Rivulinae

Rivula sericealis

Acronictinae

Acronicta rumicis Craniophora ligustri Acronicta aceris Acronicta alni Moma alpium Acronicta auricoma Simyra albovenosa Acronicta psi Acronicta megacephala Large Dagger - Acronicta cuspis Light Knot Grass - Acronicta menyanthidis Miller - Acronicta leporina

Plusiinae

Autographa gamma Plusia festucae Diachrysia stenochrysis Diachrysia chrysitis Abrostola asclepiadis Abrostola triplasia Beautiful Golden Y - Autographa pulchrina Dewick's Plusia - Macdunnoughia confusa Gold Spangle - Autographa bractea Lempke’s Gold Spot - Plusia putnami Plain Golden Y - Autographa jota Purple-shaded Gem - Euchalcia variabilis Spectacle - Abrostola tripartita

Hadeninae

Sideridis turbida Conistra vaccinii Panolis flammea Orthosia gothica Tiliacea aurago Orthosia cerasi Orthosia cruda Lithophane ornitopus Conistra rubiginosa Perigrapha i-cinctum Orthosia incerta Valeria oleagina Orthosia miniosa Lithophane semibrunnea Eupsilia transversa Conistra ligula Orthosia munda Conistra rubiginea Hoplodrina ambigua Anarta trifolii Lacanobia oleracea Egira conspicillaris Conistra erythrocephala Mythimna pallens Charanyca trigrammica Mythimna l-album Hoplodrina octogenaria Griposia aprilina Dichonia convergens Xanthia togata Leucania obsoleta Lacanobia w-latinum Mythimna albipuncta Hadena confusa Atypha pulmonaris Trachea atriplicis Thalpophila matura Mythimna straminea Tiliacea citrago Atethmia centrago Xanthia icteritia Jodia croceago Conisania luteago Dypterygia scabriuscula Mamestra brassicae Sideridis rivularis Dryobotodes monochroma Hadena capsincola Athetis gluteosa Lacanobia aliena Mythimna sicula Athetis furvula Episema tersa Auchmis detersa Episema glaucina Angle-striped Sallow - Enargia paleacea Armyworm - Mythimna unipuncta Ash Shoulder-knot - Scotochrosta pulla Beautiful Brocade - Lacanobia contigua Bordered Gothic - Heliophobus reticulata Brindled Green - Dryobotodes eremita Broad-barred White - Hecatera bicolorata Broom Moth - Ceramica pisi Brown Rustic - Charanyca ferruginea Brown-line Bright-eye - Mythimna conigera Clay - Mythimna ferrago Delicate - Mythimna vitellina Dog's Tooth - Lacanobia suasa Dot Moth - Melanchra persicariae Double Kidney - Ipimorpha retusa Double Line - Mythimna turca Double-spot Brocade - Meganephria bimaculosa Grey Arches - Polia nebulosa Guernsey Underwing - Polyphaenis sericata Heart Moth - Dicycla oo Lead-coloured Drab - Orthosia populeti Minor Shoulder-knot - Brachylomia viminalis Northern Drab - Orthosia opima Olive - Ipimorpha subtusa Pale Pinion - Lithophane socia Pale Shining Brown - Polia bombycina Pale Stigma - Mesogona acetosellae Pale-shouldered Brocade - Lacanobia thalassina Porter\'s Rustic - Proxenus hospes Powdered Quaker - Orthosia gracilis Rosy Marbled - Elaphria venustula Shears - Hada plebeja Shoulder-striped Wainscot - Leucania comma Silky Wainscot - Chilodes maritima Silurian - Eriopygodes imbecilla Silvery Arches - Polia hepatica Small Ranunculus - Hecatera dysodea Smoky Wainscot - Mythimna impura Striped Wainscot - Mythimna pudorina Suspected - Parastichtis suspecta Tawny Shears - Hadena perplexa Viper\'s Bugloss - Hadena irregularis

Acontiinae

Deltote deceptoria Emmelia trabealis Acontia lucida Phyllophila obliterata Marbled White Spot - Protodeltote pygarga Silver Barred - Deltote bankiana Silver Hook - Lithacodia uncula

Noctuinae

Agrotis exclamationis Agrotis segetum Calamia tridens Apamea monoglypha Gortyna flavago Hydraecia micacea Diarsia rubi Noctua pronuba Tholera decimalis Ochropleura plecta Noctua fimbriata Xestia c-nigrum Axylia putris Cerastis rubricosa Apamea anceps Noctua comes Agrotis ipsilon Xestia baja Rhizedra lutosa Nonagria typhae Cerastis leucographa Actinotia polyodon Agrotis cinerea Oligia latruncula Tholera cespitis Sedina buettneri Noctua interposita Euxoa aquilina Epilecta linogrisea Opigena polygona Chersotis margaritacea Dichagyris forcipula Chersotis multangula Dichagyris signifera Antler Moth - Cerapteryx graminis Archer\'s Dart - Agrotis vestigialis Autumnal Rustic - Paradiarsia glareosa Beet Armyworm - Spodoptera exigua Dotted Rustic - Rhyacia simulans Double Square-spot - Xestia triangulum Garden Dart - Euxoa nigricans Great Brocade - Eurois occulta Great Dart - Agrotis bigramma Green Arches - Anaplectoides prasina Ingrailed Clay - Diarsia mendica Langmaid's Yellow Underwing - Noctua janthina Least Yellow Underwing - Noctua interjecta Lunar Yellow Underwing - Noctua orbona Neglected Rustic - Xestia castanea Pale-shouldered Cloud - Chloantha hyperici Plain Clay - Eugnorisma depuncta Purple Clay - Diarsia brunnea Saxon - Hyppa rectilinea Six-striped Rustic - Xestia sexstrigata Square-spot Dart - Euxoa obelisca Square-spot Rustic - Xestia xanthographa Square-spotted Clay - Xestia stigmatica White-line Dart - Euxoa tritici

Herminiinae

Polypogon tentacularia Paracolax tristalis Herminia tarsicrinalis Simplicia rectalis Idia calvaria Common Fan-foot - Polypogon strigilata Dotted Fan-foot - Macrochilo cribrumalis Dusky Fan-foot - Zanclognatha zelleralis Fan-foot - Zanclognatha tarsipennalis Small Fan-foot - Herminia grisealis

Amphipyrinae

Amphipyra pyramidea Allophyes oxyacanthae Amphipyra tragopoginis Amphipyra livida Amphipyra perflua Svensson's Copper Underwing - Amphipyra berbera

Calpinae

Scoliopteryx libatrix

Metoponiinae

Tyta luctuosa Panemeria tenebrata

Eublemminae

Calymma communimacula

Ctenuchinae

Amata phegea

Arctiinae

Euplagia quadripunctaria Diacrisia sannio Parasemia plantaginis Callimorpha dominula Hyphoraia aulica Arctia caja Spilosoma lubricipeda Spilosoma lutea Phragmatobia fuliginosa Diaphora mendica Arctia villica Lithosia quadra Diaphora luctuosa Baltic Grayling - Chelis maculosa Four-dotted Footman - Cybosia mesomella Handmaid - Dysauxes ancilla

Lithosiinae

Eilema complana Eilema sororcula Atolmis rubricollis Miltochrista miniata Eilema lurideola Eilema palliatella Eilema lutarella Buff Footman - Eilema depressa Dingy Footman - Eilema griseola Dotted Footman - Pelosia muscerda Hoary Footman - Eilema caniola Muslin Footman - Nudaria mundana Pigmy Footman - Eilema pygmaeola Round-winged Muslin - Thumatha senex

Sterrhinae

Scopula immorata Scopula immutata Timandra comae Scopula virgulata Cyclophora annularia Idaea degeneraria Idaea humiliata Rhodostrophia vibicaria Idaea rufaria Idaea biselata Idaea aversata Idaea muricata Idaea straminata Scopula marginepunctata Cyclophora quercimontaria Idaea subsericeata Cyclophora linearia Idaea emarginata Cyclophora porata Scopula ornata Cyclophora punctaria Idaea aureolaria Idaea moniliata Idaea deversaria Scopula incanata Scopula flaccidaria Birch Mocha - Cyclophora albipunctata Bright Wave - Idaea ochrata Cream Wave - Scopula floslactata Dingy Mocha - Cyclophora pendularia Jersey Mocha - Cyclophora ruficiliaria Least Carpet - Idaea rusticata Middle Lace Border - Scopula decorata Ochraceous Wave - Idaea serpentata Silky Wave - Idaea dilutaria Single-dotted Wave - Idaea dimidiata Small Dusty Wave - Idaea seriata Smoky Wave - Scopula ternata Sub-angled Wave - Scopula nigropunctata Tawny Wave - Scopula rubiginata Treble Brown Spot - Idaea trigeminata

Ennominae

Siona lineata Ematurga atomaria Chiasmia clathrata Phigalia pilosaria Pseudopanthera macularia Cabera exanthemata Peribatodes rhomboidaria Selenia tetralunaria Ligdia adustata Plagodis dolabraria Alcis repandata Lomaspilis marginata Arichanna melanaria Crocallis elinguaria Ennomos alniaria Ennomos fuscantaria Pungeleria capreolaria Macaria liturata Lycia pomonaria Apocheima hispidaria Agriopis marginaria Biston strataria Lycia hirtaria Opisthograptis luteolata Ascotis selenaria Lomographa temerata Hypomecis punctinalis Campaea margaritaria Ennomos erosaria Angerona prunaria Ectropis crepuscularia Aethalura punctulata Ennomos quercinaria Cabera pusaria Tephrina arenacearia Macaria notata Macaria alternata Colotois pennaria Biston betularia Abraxas sylvata Hypomecis roboraria Heliomata glarearia Cleora cinctaria Dyscia conspersaria Synopsia sociaria Selidosema plumaria Artiora evonymaria Therapis flavicaria Theria rupicapraria Stegania dilectaria Lycia isabellae Gnophos furvata Alcis deversata Narraga fasciolaria Charissa pullata Annulet - Charissa obscurata Barred Red - Hylaea fasciaria Barred Umber - Plagodis pulveraria Belted Beauty - Lycia zonaria Bordered Beauty - Epione repandaria Bordered White - Bupalus piniaria Brindled White-spot - Parectropis similaria Brown Silver-line - Petrophora chlorosata Common Angle - Macaria signaria Early Thorn - Selenia dentaria Feathered Beauty - Peribatodes secundaria Irish Annulet - Odontognophos dumetata Large Thorn - Ennomos autumnaria Lilac Beauty - Apeira syringaria Little Thorn - Cepphis advenaria Lunar Thorn - Selenia lunularia Magpie - Abraxas grossulariata Messenger Moth - Agriopis bajaria Mottled Umber - Erannis defoliaria Rannoch Looper - Macaria brunneata Satin Beauty - Deileptenia ribeata Scalloped Hazel - Odontopera bidentata Scarce Umber - Agriopis aurantiaria Spring Usher - Agriopis leucophaearia Square Spot - Paradarisa consonaria Straw Belle - Aspitates gilvaria Swallow-tailed Moth - Ourapteryx sambucaria V-moth - Macaria wauaria White-pinion Spotted - Lomographa bimaculata

Larentiinae

Lythria purpuraria Scotopteryx chenopodiata Lythria cruentaria Eupithecia indigata Epirrhoe tristata Operophtera brumata Triphosa dubitata Aplocera plagiata Eupithecia abbreviata Ecliptopera silaceata Chloroclysta siterata Mesotype parallelolineata Dysstroma citrata Thera variata Pennithera firmata Earophila badiata Epirrhoe alternata Xanthorhoe spadicearia Euphyia biangulata Cosmorhoe ocellata Cidaria fulvata Thera obeliscata Anticlea derivata Hydria cervinalis Lobophora halterata Colostygia pectinataria Perizoma alchemillata Catarhoe cuculata Pelurga comitata Camptogramma bilineatum Epirrita dilutata Lampropteryx suffumata Eupithecia lanceata Eupithecia tantillaria Asthena albulata Hydrelia flammeolaria Epirrita christyi Trichopteryx polycommata Horisme corticata Cataclysme riguata Chesias rufata Xanthorhoe fluctuata Scotopteryx coarctaria Xanthorhoe ferrugata Pterapherapteryx sexalata Horisme tersata Perizoma lugdunaria Ecliptopera capitata Euphyia frustata Eupithecia ericeata Nebula achromaria Coenotephria tophaceata Perizoma hydrata Epirrhoe molluginata Eupithecia extraversaria Angle-barred Pug - Eupithecia innotata Autumnal Moth - Epirrita autumnata Balsam Carpet - Xanthorhoe biriviata Barberry Carpet - Pareulype berberata Barred Carpet - Perizoma taeniata Barred Rivulet - Perizoma bifaciata Barred Straw - Eulithis pyraliata Beautiful Carpet - Mesoleuca albicillata Beech-green Carpet - Colostygia olivata Bilberry Pug - Pasiphila debiliata Blue-bordered Carpet - Plemyria rubiginata Bordered Pug - Eupithecia succenturiata Broken-barred Carpet - Electrophaes corylata Brown Scallop - Philereme vetulata Chalk Carpet - Scotopteryx bipunctaria Chevron Moth - Eulithis testata Cloaked Pug - Eupithecia abietaria Common Marbled Carpet - Dysstroma truncata Currant Pug - Eupithecia assimilata Dark Umber - Philereme transversata Dingy Shell - Euchoeca nebulata Double-striped Pug - Gymnoscelis rufifasciata Drab Looper - Minoa murinata Early Tooth-striped - Trichopteryx carpinata Flame Carpet - Xanthorhoe designata Fortified Carpet - Scotopteryx moeniata Galium Carpet - Epirrhoe galiata Green Pug - Pasiphila rectangulata Grey Pug - Eupithecia subfuscata July Highflyer - Hydriomena furcata Juniper Pug - Eupithecia pusillata Large Twin-spot Carpet - Xanthorhoe quadrifasiata Lime-speck Pug - Eupithecia centaureata Many-lined - Costaconvexa polygrammata Maple Pug - Eupithecia inturbata May Highflyer - Hydriomena impluviata Netted Pug - Eupithecia venosata Northern Spinach - Eulithis populata Northern Winter Moth - Operophtera fagata Oblique Striped - Phibalapteryx virgata Phoenix - Eulithis prunata Pretty Chalk Carpet - Melanthia procellata Purple Treble-bar - Aplocera praeformata Ruddy Carpet - Catarhoe rubidata Sandy Carpet - Perizoma flavofasciata Satyr Pug - Eupithecia satyrata Scallop Shell - Hydria undulata Sharp-angled Carpet - Euphyia unangulata Silver-ground Carpet - Xanthorhoe montanata Sloe Pug - Pasiphila chloerata Small Waved Umber - Horisme vitalbata Spinach - Eulithis mellinata Streak - Chesias legatella Striped Twin-spot Carpet - Coenotephria salicata Tawny-speckled Pug - Eupithecia icterata Toadflax Pug - Eupithecia linariata V-pug - Chloroclystis v-ata Waved Carpet - Hydrelia sylvata Yarrow Pug - Eupithecia millefoliata Yellow-barred Brindle - Acasis viretata

Archiearinae

Archiearis notha Archiearis parthenias Boudinotiana puella

Oenochrominae

Alsophila aescularia Alsophila aceraria

Geometrinae

Chlorissa cloraria Hemithea aestivaria Chlorissa etruscaria Pseudoterpna pruinata Blotched Emerald - Comibaena bajularia Essex Emerald - Thetidia smaragdaria Large Emerald - Geometra papilionaria Little Emerald - Jodis lactearia Small Emerald - Hemistola chrysoprasaria Small Grass Emerald - Chlorissa viridata Sussex Emerald - Thalera fimbrialis

Macroglossinae

Macroglossum stellatarum Hyles euphorbiae Hemaris fuciformis Deilephila porcellus Bedstraw Hawk-moth - Hyles gallii Elephant Hawk-moth - Deilephila elpenor Willowherb Hawk-moth - Proserpinus proserpina

Sphinginae

Agrius convolvuli Sphinx pinastri Death's-head Hawk-moth - Acherontia atropos Privet Hawk-moth - Sphinx ligustri

Smerinthinae

Smerinthus ocellatus Mimas tiliae Laothoe populi Oak Hawk-moth - Marumba quercus

 

Lemonia dumi Lemonia taraxaci


– Micromoths (371 species)

Procridinae

Adscita statices Jordanita chloros Jordanita subsolana Rhagades pruni

Zygaeninae

Zygaena filipendulae Zygaena carniolica Zygaena ephialtes Zygaena lonicerae Zygaena angelicae Zygaena loti Zygaena viciae Zygaena trifolii Zygaena purpuralis Zygaena minos Zygaena punctum Zygaena laeta Zygaena osterodensis Zygaena brizae

 

Alucita grammodactyla

 

Pterolonche inspersa

Symmocinae

Oegoconia uralskella

 

Carposina scirrhosella

Cosmopteriginae

Pyroderces argyrogrammos Eteobalea serratella

 

Bitter-cress Diamond-back - Eidophasia messingiella Diamond-back Moth - Plutella xylostella

Gracillariinae

Caloptilia betulicola Caloptilia robustella Eucalybites auroguttella Dark Alder Stilt - Caloptilia falconipennella Southern Blackthorn Parornix - Parornix finitimella Willow Stilt​ - Caloptilia stigmatella

Lithocolletinae

Phyllonorycter abrasella Phyllonorycter roboris Phyllonorycter acerifoliella Macrosaccus robiniella Common Birch Leaf-miner - Phyllonorycter ulmifoliella Common Oak Leaf-miner - Phyllonorycter quercifoliella Horse-chestnut Leafminer - Cameraria ohridella

Ornixolinae

Locust Leaf Miner - Parectopa robiniella

 

Brown Mompha - Mompha miscella

 

Oak Carl - Tischeria ekebladella

 

Heinemannia festivella

Sesiinae

Synanthedon stomoxiformis Dale\'s Oak Clearwing - Synanthedon conopiformis Six-belted Clearwing - Bembecia ichneumoniformis

 

Elachista squamosella Basil Dwarf - Stephensia brunnichella Brown-barred Dwarf - Elachista subocellea Swan-feather Dwarf - Elachista argentella Western Grass-miner - Elachista dispunctella

 

Early Purple - Eriocrania semipurpurella

 

Red-barred Gold - Micropterix tunbergella

 

Brachodes appendiculata

 

Coleophora ornatipennella Small Clover Case-bearer - Coleophora alcyonipennella

Gelechiinae

Aroga flavicomella Stenolechiodes pseudogemmellus Teleiodes luculella Neofriseria peliella Chionodes luctuella Mirificarma cytisella Sophronia sicariellus Beautiful Groundling - Caryocolum tricolorella Beet Moth - Scrobipalpa ocellatella Black V Bud Moth - Stenolechia gemmella Black-shouldered Grey - Carpatolechia decorella Black-spotted Groundling - Pseudotelphusa scalella Hazel Grey - Teleiodes wagae Marbled Maple Moth - Altenia scriptella Southern Apple Moth - Recurvaria nanella

Dichomeridinae

Dichomeris derasella Black-spotted Snout - Dichomeris alacella Cinereous - Acompsia cinerella Common Zebra Moth - Helcystogramma rufescens Lime Snout - Dichomeris ustalella

Anacampsinae

Anacampsis populella Nothris verbascella

Anomologinae

Burdock Seedhead Moth - Metzneria lappella Silver-barred Moss-moth - Eulamprotes wilkella

Phycitinae

Oncocera semirubella Plodia interpunctella Assara terebrella Dioryctria abietella Trachonitis cristella Laodamia faecella Eurhodope rosella Agate Knot-horn - Nyctegretis lineana Ash-bark Knot-horn - Euzophera pinguis Cinnamon Knot-horn - Ancylosis cinnamomella Clouded Knot-horn - Homoeosoma nebulella Dotted Oak Knot-horn - Phycita roborella Grey Knot-horn - Acrobasis advenella Lima Bean Pod Borer - Etiella zinckenella New Poplar Knot-horn - Sciota rhenella Scarce Oak Knot-horn - Acrobasis tumidana Silvery Knot-horn - Selagia argyrella Thistle Ermine - Myelois circumvoluta Twin-barred Knot-horn - Homoeosoma sinuella Warted Knot-horn - Acrobasis repandana Wormwood Knot-horn - Euzophera cinerosella

Pyralinae

Hypsopygia glaucinalis Hypsopygia costalis Endotricha flammealis Synaphe punctalis Stemmatophora brunnealis Pyralis regalis Large Tabby - Aglossa pinguinalis Meal Moth - Pyralis farinalis

Galleriinae

Lamoria anella Bee Moth - Aphomia sociella Honeycomb Moth - Galleria mellonella

Pterophorinae

Pterophorus pentadactyla Cnaemidophorus rhododactyla Emmelina monodactyla Geina didactyla Stenoptilia pelidnodactyla Beautiful Plume - Amblyptilia acanthadactyla Brown Plume - Stenoptilia pterodactyla Citron Plume - Hellinsia carphodactyla Golden-rod Plume - Platyptilia calodactyla Tansy Plume - Gillmeria ochrodactyla

Tineinae

Euplocamus anthracinalis Trichophaga scandinaviella Bird\'s-nest Moth - Tinea trinotella Fulvous Clothes Moth - Tinea semifulvella Skin Moth - Monopis laevigella White-blotched Clothes Moth - Monopis monachella

Nemapogoninae

Neurothaumasia ankerella Gold-speckled Clothes Moth - Nemaxera betulinella

Perissomasticinae

Ateliotum hungaricellum

Scardiinae

Large Clothes Moth - Morophaga choragella

 

Semioscopis steinkellneriana Agonopterix furvella Exaeretia culcitella Semioscopis oculella Black-spot Flat-body - Agonopterix propinquella Brindled Flat-body - Agonopterix arenella Common Flat-body - Agonopterix heracliana Dusted Flat-body - Agonopterix assimilella Early Flat-body - Semioscopis avellanella Estuarine Flat-body - Agonopterix putridella Gorse Tip Moth - Agonopterix nervosa Red-letter Flat-body - Agonopterix ocellana Sloe Flat-body - Luquetia lobella Straw Flat-body - Agonopterix kaekeritziana

Nematopogoninae

Nematopogon robertella Large Long-horn - Nematopogon swammerdamellus

Adelinae

Adela reaumurella Nemophora metallica Adela associatella Longhorn Moth - Nemophora degeerella Small Barred Long-horn - Adela croesella

Incurvariinae

Incurvaria masculella

Olethreutinae

Olethreutes arcuella Epiblema foenella Notocelia cynosbatella Cydia pomonella Epinotia festivana Gibberifera simplana Pelochrista hepatariana Pelochrista mollitana Thiodia torridana Dichrorampha heegerana Acorn Piercer - Pammene fasciana Aspen Roller - Ancylis laetana Birch Bell - Epinotia demarniana Birch Marble - Apotomis betuletana Bramble Shoot Moth - Notocelia uddmanniana Bright Bell - Eucosma hohenwartiana Buckthorn Roller - Ancylis unculana Bud Moth - Spilonota ocellana Chalk Rose Bell - Notocelia incarnatana Chalk-hill Bell - Pelochrista caecimaculana Common Marble - Syricoris lacunana Common Spruce Bell - Epinotia tedella Diamond-backed Marble - Eudemis profundana Early Oak Piercer - Pammene giganteana European Pine Shoot Moth - Rhyacionia buoliana Eyed Tortrix - Eucosma pupillana Grey Poplar Bell - Epinotia nisella Large Beech Piercer - Cydia fagiglandana Lemon Bell - Thiodia citrana Little Oak Piercer - Strophedra nitidana Marbled Bell - Eucosma campoliliana Marbled Orchard Tortrix - Hedya nubiferana Mistletoe Marble - Celypha woodiana Mugwort Bell - Eucosma metzneriana Olive Marble - Phiaris micana Orange-spotted Shoot - Rhyacionia pinicolana Plum Tortrix - Hedya pruniana Red Piercer - Lathronympha strigana Red Roller - Ancylis mitterbacheriana Shoulder-spot Marble - Metendothenia atropunctana Silver-striped Marble - Syricoris rivulana Spotted Shoot Moth - Rhyacionia pinivorana Spruce Seed Moth - Cydia strobilella Summer Rose Bell - Notocelia roborana Teasel Marble - Endothenia gentianaeana Thistle Bell - Epiblema scutulana Thyme Marble - Celypha cespitana Triple-blotched Bell - Notocelia trimaculana Vagrant Piercer - Cydia amplana White Cloaked Shoot - Gypsonoma sociana White-backed Marble - Hedya salicella

Tortricinae

Acleris cristana Eulia ministrana Ptycholoma lecheana Agapeta zoegana Archips podana Pandemis cerasana Doloploca punctulana Choristoneura hebenstreitella Cnephasia communana Pseudeulia asinana Cochylidia implicitana Aethes williana Aethes tesserana Phalonidia contractana Phtheochroa pulvillana Eana canescana Brevicornutia pallidana Clepsis pallidana Acleris Hastiana Moth - Acleris hastiana Ashy Button - Acleris sparsana Birch Conch - Thyraylia nana Blue-fleabane Straw - Cochylidia heydeniana Brown Oak Tortrix - Archips xylosteana Brown Oak Tortrix - Archips crataegana Brown-barred Tortrix - Epagoge grotiana Chequered Fruit-tree Tortrix - Pandemis corylana Common Straw - Cochylimorpha straminea Common Yellow Conch - Agapeta hamana Dark Fruit-tree Tortrix - Pandemis heparana Dark-barred Tortrix - Syndemis musculana Garden Rose Tortrix - Acleris variegana Green Oak Tortrix - Tortrix viridana Grey Birch Button - Acleris logiana Lesser Marbled Straw - Aethes hartmanniana Lichen Button - Acleris literana Maple Button - Acleris forsskaleana Plumbeous Spruce Tortrix - Cymolomia hartigiana Rhomboid Tortrix - Acleris rhombana Rusty Oak Button - Acleris ferrugana Schaller\'s Acleris Moth - Acleris schalleriana Small Straw Tortrix - Paramesia gnomana Thicket Tortrix - Pandemis dumetana White-fronted Straw - Cochylis hybridella Winter Shade - Tortricodes alternella Yellow Oak Button - Aleimma loeflingiana Yellow Rose Button - Acleris bergmanniana Yellow-spot Tortrix - Pseudargyrotoza conwagana

Chlidanotinae

Isotrias hybridana

Crambinae

Agriphila geniculea Agriphila tristella Chilo phragmitella Thisanotia chrysonuchella Chrysocrambus craterellus Chrysoteuchia culmella Crambus lathoniellus Crambus perlella Catoptria pinella Barred Grass-veneer - Agriphila inquinatella Bulrush Veneer - Calamotropha paludella Chequered Grass-veneer - Catoptria falsella Inlaid Grass-veneer - Crambus pascuellus Little Grass-veneer - Platytes cerussella Marbled Grass-veneer - Catoptria verella Marsh Grass-veneer - Crambus uliginosellus Pearl-band Grass Veneer - Catoptria margaritella Scarce Grass-veneer - Crambus pratellus Scotch Grass-veneer - Catoptria permutatella Silver-spotted Veneer - Euchromius ocelleus Straw Grass-veneer - Agriphila straminella

Spilomelinae

Pleuroptya ruralis Cydalima perspectalis Diasemia reticularis Mecyna trinalis Dolicharthria punctalis Beautiful Pearl - Agrotera nemoralis Olive-tree Pearl - Palpita vitrealis Rush Veneer - Nomophila noctuella Yellow Pearl - Mecyna flavalis

Pyraustinae

Pyrausta purpuralis Anania hortulata Anania verbascalis Sitochroa verticalis Ostrinia nubilalis Anania stachydalis Pyrausta aurata Pyrausta sanguinalis Nascia cilialis Anania terrealis Ecpyrrhorrhoe rubiginalis Udea accolalis Beet Webworm - Loxostege sticticalis Cinerous Pearl - Anania fuscalis Crowned Phlyctaenia - Anania coronata Dusky Pearl - Udea prunalis Fenland Pearl - Anania perlucidalis Long-winged Pearl - Anania lancealis Ochreous Pearl - Anania crocealis Olive Pearl - Udea olivalis Rusty-dot Pearl - Udea ferrugalis Scarce Straw Pearl - Paracorsia repandalis Straw-barred Pearl - Pyrausta despicata Sulphur Pearl - Sitochroa palealis Thatch Pearl - Sclerocona acutella Yellow-underwing Pearl - Uresiphita gilvata

Odontiinae

Eurrhypis pollinalis Cynaeda dentalis

Evergestinae

Evergestis frumentalis Evergestis forficalis Dark Bordered Pearl - Evergestis limbata Marbled Yellow Pearl - Evergestis extimalis

Scopariinae

Scoparia basistrigalis Scoparia pyralella Little Grey - Dipleurina lacustrata Marsh Grey - Witlesia pallida

Acentropinae

Brown China-mark - Elophila nymphaeata Ringed China-mark - Parapoynx stratiotata Small China-mark - Cataclysta lemnata

Schoenobiinae

Giant Water-veneer - Schoenobius gigantella Pale Water-veneer - Donacaula forficella Scarce Water-veneer - Donacaula mucronella

Oecophorinae

Carcina quercana Harpella forficella Denisia stipella Alabonia staintoniella Holoscolia huebneri Pleurota marginella Metalampra cinnamomea Decantha borkhausenii Brown-tip Tubic - Schiffermuelleria schaefferella Gold-base Tubic - Oecophora bractella Greater Tawny Tubic - Batia lambdella Kent Tubic - Bisigna procerella Surrey Tubic - Denisia augustella Thatch Tubic - Borkhausenia minutella

Stathmopodinae

Alder Signal - Stathmopoda pedella

 

Diurnea fagella Diurnea lipsiella Spring Tubic - Dasystoma salicella

Yponomeutinae

Yponomeuta evonymella Niphonympha dealbatella Apple Ermine - Yponomeuta malinellus Black-tipped Ermine - Yponomeuta plumbella Grey Ermine - Yponomeuta sedella Hawthorn Ermine - Paraswammerdamia nebulella Little Ermine - Swammerdamia pyrella Rowan Ermine - Swammerdamia compunctella Scarce Spindle Ermine - Yponomeuta irrorella Spindle Ermine - Yponomeuta cagnagella

Argyresthiinae

Blackthorn Argent - Argyresthia spinosella Cherry Fruit Moth - Argyresthia pruniella Golden Argent - Argyresthia goedartella

Praydinae

Ash Bud Moth - Prays fraxinella

 

Ethmia bipunctella Ethmia quadrillella Five-spot Ermel - Ethmia terminella Striped Ermel - Ethmia pusiella

Ypsolophinae

Barred Smudge - Ypsolopha alpella Pied Smudge - Ypsolopha sequella Scarce Smudge - Ypsolopha asperella Spindle Smudge - Ypsolopha mucronella Variable Smudge - Ypsolopha ustella White-shouldered Smudge - Ypsolopha parenthesella

 

Hypercallia citrinalis

Choreutinae

Nettle-tap - Anthophila fabriciana

 

Acorn Moth - Blastobasis glandulella Spotted Dowd - Hypatopa binotella